دانلود جدید ترین فیلمها و سریالهای روز دنیا در سایت 98Movies. اگر در جستجوی یک سایت عالی برای دانلود فیلم هستید به این آدرس مراجعه کنید. این سایت همچنین آرشیو کاملی از فیلمهای دوبله به فارسی دارد. بنابراین برای دانلود فیلم دوبله فارسی بدون سانسور نیز می توانید به این سایت مراجعه کنید. در این سایت امکان پخش آنلاین فیلم و سریال همراه با زیرنویس و فیلمهای دوبله شده به صورت دوزبانه فراهم شده است. بنابراین برای اولین بار در ایران شما می توانید فیلمهای دوبله شده را در تلویزیونهای هوشمند خود به صورت دوزبانه و آنلاین مشاهده نمایید.
التاريخ : 2017-09-09

بيان عاجل عن الحالة الصحية للأردنيين في المكسيك وغواتيمالا

الراي نيوز
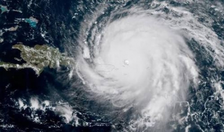
 أصدر السفير الأردني لدي المكسيك إبراهيم عبيدات بيان هاما حول الحالة الصحية للأردنيين في المكسيك وغواتيمالا بعد إعصار إيرما، قائلا:' الأردنيين بخير'، مضيفا:' أكملنا الاتصال بجميع الأردنيين المسجلين لدى السفارة والجميع الحمدلله بخير'.

وأشار عبيدات إلى أن الاتصالات جارية للاطمئنان على المقيمين في دول امريكا الوسطى، كما طالبت وزارة الخارجية الأردنية من الأردنيين بالاتصال عند الحاجة على الارقام التالية:  

رقم الطوراىء:   005215564871059

رقم السكرتير الثالث احمد زريقات : 005215529380358

يذكر ان زلزال قوي ضرب الساحل الجنوبي من البلاد منذ قرن، ما أدى الزلزال إلى مقتل 60 شخصا في ثلاث ولايات تقع في جنوب المكسيك: وهي تاباسكو، وأواكساكا وتيشباس.

 
عدد المشاهدات : ( 2772 )
   
الإسم
البريد الإلكتروني
نص التعليق
تتم مراجعة كافة التعليقات ،وتنشر في حال الموافقة عليها فقط ،
ويحتفظ موقع 'الرأي نيوز' بحق حذف أي تعليق في أي وقت ،ولأي سبب كان،ولن ينشر أي تعليق يتضمن اساءة أو خروجا عن الموضوع المطروح ، علما ان التعليقات تعبر عن أصحابها فقط .